Browse listings by city and community so you can focus on neighborhoods that match your lifestyle, budget, and commute.


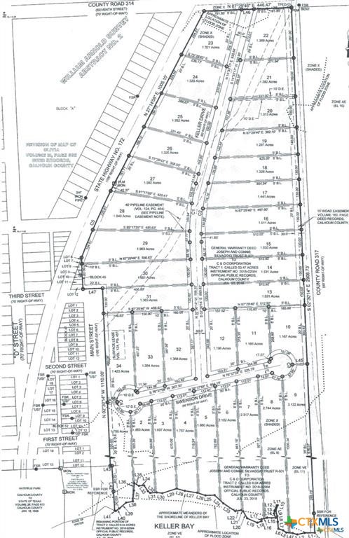
Great lot located in Kellers Landing with scenic views of Kellers Bay! This corner lot is ready for your new home and offers light restrictions to help maintain a clean and attractive neighborhood. Just one mile from the county boat ramp and park—perfect for boating, fishing, and enjoying the outdoors. Don’t miss this opportunity to build in a peaceful coastal setting!
| 9 months ago | Listing first seen on site | |
| 9 months ago | Listing updated with changes from the MLS® |